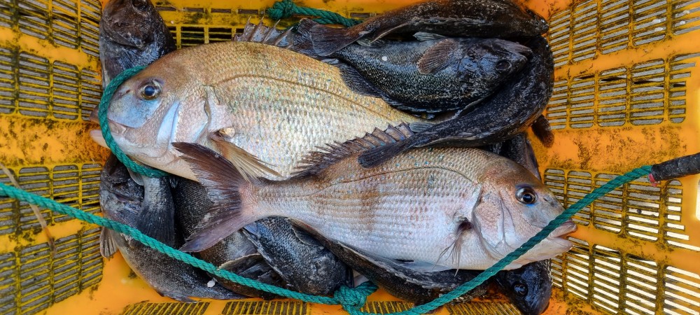
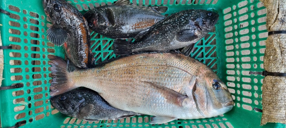
1월6일 조황

떠나자 서해 중부권 해양 레포츠의 하나인 

좌대 낚시의 세계로.....

주중을 활용하여 일상의 늪에서 잠시 벗어나 

한팀을 이뤄 쪽빛으로 물들은 겨울 바다를 배경삼아 

낚싯대를 드리우고 캐스팅에 몰두하다 보면 추위도

잊을 만큼 열정으로 가득하고, 참돔, 농어, 우럭들이 

줄줄이 잡혀 올라오며 짜릿한 손맛과 함께 풍요의 결실을 

맛보기도 합니다.

그럼 오늘의 조황 감상해 볼까요~^^

ab00ed68d2e13cf36e3cb438c4ab4a0b_1767705447_3318.jpg
ab00ed68d2e13cf36e3cb438c4ab4a0b_1767705447_7426.jpg
ab00ed68d2e13cf36e3cb438c4ab4a0b_1767705448_1224.jpg
ab00ed68d2e13cf36e3cb438c4ab4a0b_1767705448_4891.jpg
ab00ed68d2e13cf36e3cb438c4ab4a0b_1767705448_9032.jpg
ab00ed68d2e13cf36e3cb438c4ab4a0b_1767705449_2922.jpg
ab00ed68d2e13cf36e3cb438c4ab4a0b_1767705449_714.jpg
ab00ed68d2e13cf36e3cb438c4ab4a0b_1767705450_1281.jpg
ab00ed68d2e13cf36e3cb438c4ab4a0b_1767705450_6125.jpg
ab00ed68d2e13cf36e3cb438c4ab4a0b_1767705451_0122.jpg
ab00ed68d2e13cf36e3cb438c4ab4a0b_1767705495_5455.jpg
ab00ed68d2e13cf36e3cb438c4ab4a0b_1767705495_9402.jpg
ab00ed68d2e13cf36e3cb438c4ab4a0b_1767705496_3244.jpg
ab00ed68d2e13cf36e3cb438c4ab4a0b_1767705496_7044.jpg
ab00ed68d2e13cf36e3cb438c4ab4a0b_1767705497_1737.jpg
ab00ed68d2e13cf36e3cb438c4ab4a0b_1767705497_6319.jpg