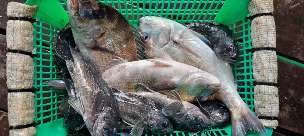
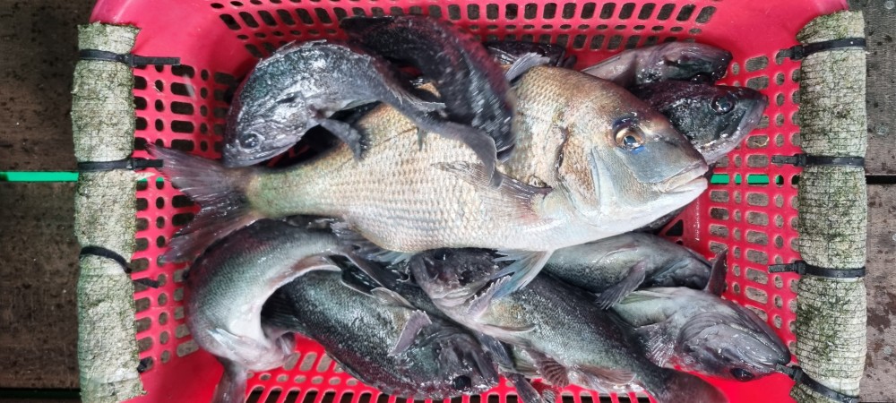
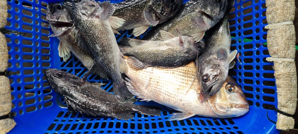
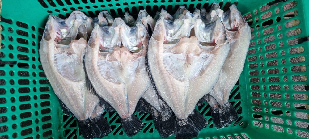
12월27일 조황

열심히 일한 당신 떠나라는 스카이의 슬로건처럼 

주말을 맞아 그동안 양 어깨를 짓누루던 무거운 짐을 

훌훌 털어버리고 심신의 활력을 충전하기 위해 방문해 

주신 고객님들께 감사드립니다.

비록 눈보라가 휘몰아치는 악천후에도 열정의 캐스팅으로 

모든분께서 짜릿한 손맛은 물론 힐링의 참맛, 그리고 풍성한 

수확의 결실을 거둘 수 있었던 하루였습니다.

그럼 주말 조과 감상해 볼까요~^^

6a74a602bc112e6802f305abc9411a3b_1766888022_843.jpg
6a74a602bc112e6802f305abc9411a3b_1766888028_4325.jpg
6a74a602bc112e6802f305abc9411a3b_1766888036_3271.jpg
6a74a602bc112e6802f305abc9411a3b_1766888041_4399.jpg
6a74a602bc112e6802f305abc9411a3b_1766888047_2794.jpg
6a74a602bc112e6802f305abc9411a3b_1766888053_1235.jpg
6a74a602bc112e6802f305abc9411a3b_1766888058_1064.jpg
6a74a602bc112e6802f305abc9411a3b_1766888063_5472.jpg
6a74a602bc112e6802f305abc9411a3b_1766888067_5816.jpg
6a74a602bc112e6802f305abc9411a3b_1766888098_346.jpg
6a74a602bc112e6802f305abc9411a3b_1766888102_6527.jpg
6a74a602bc112e6802f305abc9411a3b_1766888107_7145.jpg
6a74a602bc112e6802f305abc9411a3b_1766888112_505.jpg
6a74a602bc112e6802f305abc9411a3b_1766888123_9174.jpg
6a74a602bc112e6802f305abc9411a3b_1766888127_3883.jpg
6a74a602bc112e6802f305abc9411a3b_1766888131_041.jpg
6a74a602bc112e6802f305abc9411a3b_1766888134_7519.jpg