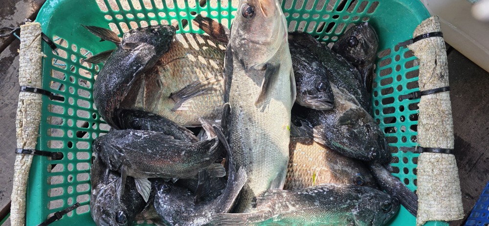
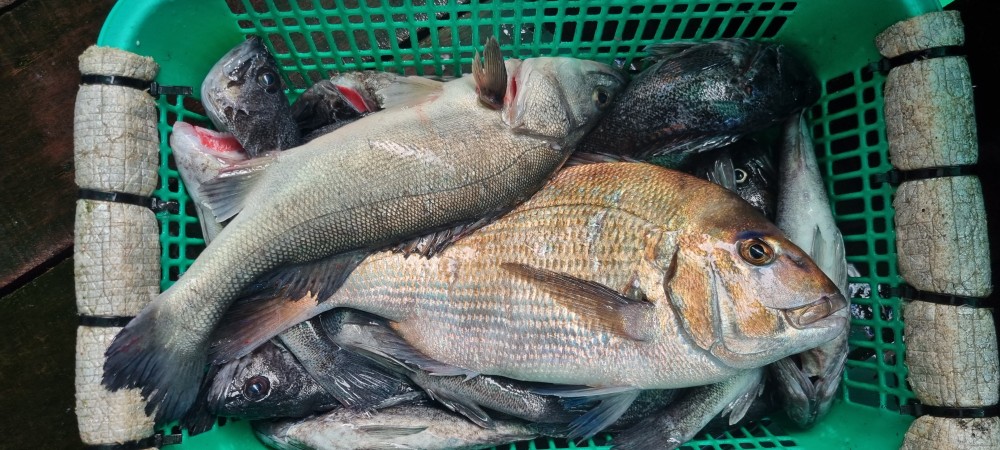
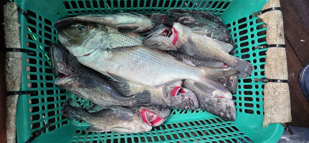
11월22일 주말조황

열심히 일한 당신 떠나라!!

주말을 맞을때마다 비또는 강한 바람으로 인해 

운영에 어려움을 겪어야 했지만, 오늘은 다행히도 

포근하고 온화한 날씨에 출조해 주신 조사님들께서 

편안한 마음으로 캐스팅에 전념 할 수 있었네요~^^

물고기들의 활성도까지 도와주면서 활기찬 입질로

풍성한 어획량도 올릴 수 있었습니다.

그럼 주말 활동 사항 들여다 볼까요??

db4871cb5f9289dd9f8ec43f77a534c5_1763867396_9668.jpg
db4871cb5f9289dd9f8ec43f77a534c5_1763867406_838.jpg
db4871cb5f9289dd9f8ec43f77a534c5_1763867420_0444.jpg
db4871cb5f9289dd9f8ec43f77a534c5_1763867441_3146.jpg
db4871cb5f9289dd9f8ec43f77a534c5_1763867454_3411.jpg
db4871cb5f9289dd9f8ec43f77a534c5_1763867465_4691.jpg
db4871cb5f9289dd9f8ec43f77a534c5_1763867475_886.jpg
db4871cb5f9289dd9f8ec43f77a534c5_1763867491_7234.jpg
db4871cb5f9289dd9f8ec43f77a534c5_1763867509_8968.jpg
db4871cb5f9289dd9f8ec43f77a534c5_1763867528_5398.jpg
db4871cb5f9289dd9f8ec43f77a534c5_1763867569_3365.jpg
db4871cb5f9289dd9f8ec43f77a534c5_1763867588_5111.jpg
db4871cb5f9289dd9f8ec43f77a534c5_1763867598_3634.jpg
db4871cb5f9289dd9f8ec43f77a534c5_1763867612_5494.jpg
db4871cb5f9289dd9f8ec43f77a534c5_1763867621_7765.jpg
db4871cb5f9289dd9f8ec43f77a534c5_1763867631_4132.jpg