11월19일 조황

이른 아침 바닷물을 가르고 바람을 맞으며

출근  하노라면 싸늘한 전율이 온 몸을 휘감아 돕니다.

그러나 점점 날이 밝아오면서 해를 머금고 

온기가 주위를 따스하게 감싸며 조사님들의 

캐스팅엔 별 문제없이 순조롭게 진행되었고,

좋은 결실을 거둘 수 있었네요!!

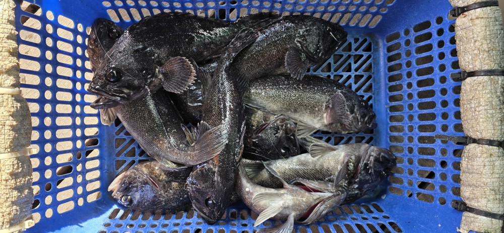
오늘의 성과는 어땠는지 바로 확인해 보실까요??

2257ea729481ff537d3d6c7a8bab23fc_1763556949_4481.jpg
2257ea729481ff537d3d6c7a8bab23fc_1763556950_0393.jpg
2257ea729481ff537d3d6c7a8bab23fc_1763556950_5304.jpg
2257ea729481ff537d3d6c7a8bab23fc_1763556951_2076.jpg
2257ea729481ff537d3d6c7a8bab23fc_1763556951_7742.jpg
2257ea729481ff537d3d6c7a8bab23fc_1763556952_4515.jpg
2257ea729481ff537d3d6c7a8bab23fc_1763556953_3609.jpg
2257ea729481ff537d3d6c7a8bab23fc_1763556954_2056.jpg
2257ea729481ff537d3d6c7a8bab23fc_1763556954_8126.jpg
2257ea729481ff537d3d6c7a8bab23fc_1763556955_5432.jpg