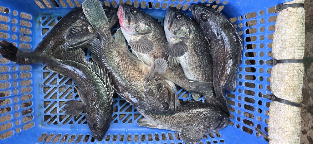
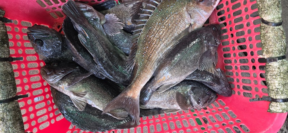
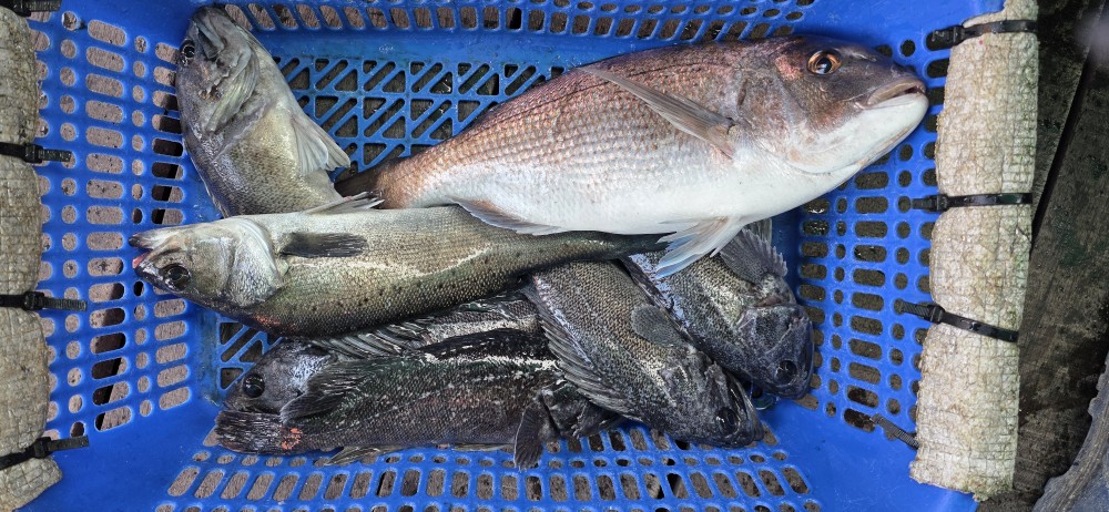
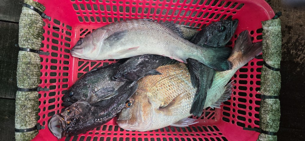
11월16일 조황

아침 저녁으론 옷깃을 여미게 만드는 쌀쌀한 초겨울 

날씨를 보이고, 한낮엔 따스하고 포근한 온기를 느끼게하는 

하루가 되었네요!!

그래서인지 출조해 주신 조사님들께서 편안하고 안정된 

낚시터의 환경속에서 캐스팅에 전념 할 수 있엇으며,

넉넉한 조과도 올릴 수 있었습니다.

그럼 그 결과물 감상해 볼까요~^^

287d71c84386d9c193b2b6b827f9dbb8_1763383565_2642.jpg
287d71c84386d9c193b2b6b827f9dbb8_1763383565_7421.jpg
287d71c84386d9c193b2b6b827f9dbb8_1763383566_2621.jpg
287d71c84386d9c193b2b6b827f9dbb8_1763383566_8745.jpg
287d71c84386d9c193b2b6b827f9dbb8_1763383567_4242.jpg
287d71c84386d9c193b2b6b827f9dbb8_1763383568_1502.jpg
287d71c84386d9c193b2b6b827f9dbb8_1763383568_749.jpg
287d71c84386d9c193b2b6b827f9dbb8_1763383569_4597.jpg
287d71c84386d9c193b2b6b827f9dbb8_1763383569_973.jpg
287d71c84386d9c193b2b6b827f9dbb8_1763383570_5223.jpg
287d71c84386d9c193b2b6b827f9dbb8_1763383612_861.jpg
287d71c84386d9c193b2b6b827f9dbb8_1763383613_646.jpg
287d71c84386d9c193b2b6b827f9dbb8_1763383614_1593.jpg
287d71c84386d9c193b2b6b827f9dbb8_1763383615_0399.jpg
287d71c84386d9c193b2b6b827f9dbb8_1763383615_5939.jpg
287d71c84386d9c193b2b6b827f9dbb8_1763383616_397.jpg
287d71c84386d9c193b2b6b827f9dbb8_1763383616_8846.jpg
287d71c84386d9c193b2b6b827f9dbb8_1763383617_5741.jpg
287d71c84386d9c193b2b6b827f9dbb8_1763383618_238.jpg