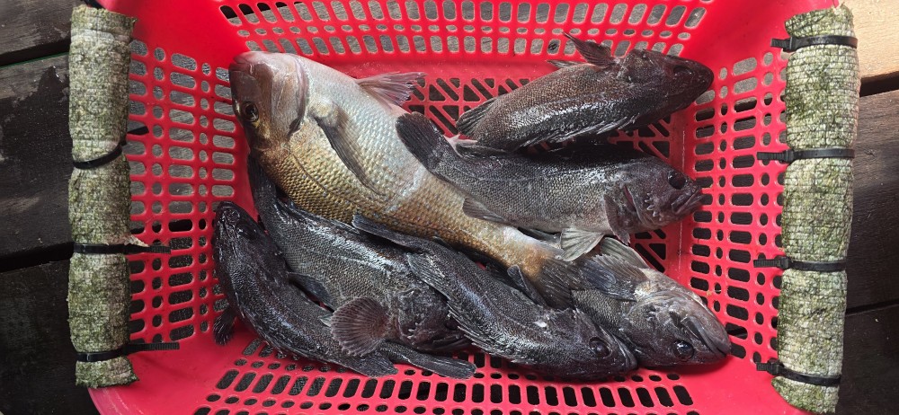
11월13일 조황

주중 일상에서 받은 스트레스도 후련하게 해소하고

직원들과의 소통과 화합을 도모하기 위해 도비도항 

인접 해상에 위치한 낚시터를 방문해 주셨습니다.

손맛과 입맛은 물론 힐링의 참맛까지 느낄 수 

있었으며, 넉넉한 수확도 거둘수 있는 하루였네요!!

그럼 그 조과물의 그림속으로 들어가 볼까요~^^

5796421b8a00a72837dc84756c9a7ed1_1763245566_5701.jpg
5796421b8a00a72837dc84756c9a7ed1_1763245579_3437.jpg
5796421b8a00a72837dc84756c9a7ed1_1763245594_6273.jpg
5796421b8a00a72837dc84756c9a7ed1_1763245603_9309.jpg
5796421b8a00a72837dc84756c9a7ed1_1763245624_007.jpg
5796421b8a00a72837dc84756c9a7ed1_1763245637_6236.jpg
5796421b8a00a72837dc84756c9a7ed1_1763245644_2946.jpg
5796421b8a00a72837dc84756c9a7ed1_1763245648_0644.jpg
5796421b8a00a72837dc84756c9a7ed1_1763245653_7795.jpg
5796421b8a00a72837dc84756c9a7ed1_1763245657_1611.jpg
5796421b8a00a72837dc84756c9a7ed1_1763245937_4944.jpg
5796421b8a00a72837dc84756c9a7ed1_1763245955_2859.jpg
5796421b8a00a72837dc84756c9a7ed1_1763245974_442.jpg
5796421b8a00a72837dc84756c9a7ed1_1763245988_9258.jpg
5796421b8a00a72837dc84756c9a7ed1_1763246003_1875.jpg
5796421b8a00a72837dc84756c9a7ed1_1763246015_1165.jpg
5796421b8a00a72837dc84756c9a7ed1_1763246031_7516.jpg
5796421b8a00a72837dc84756c9a7ed1_1763246049_862.jpg
5796421b8a00a72837dc84756c9a7ed1_1763246067_5583.jpg
5796421b8a00a72837dc84756c9a7ed1_1763246076_9174.jpg