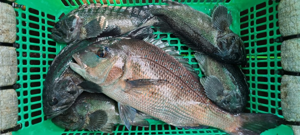
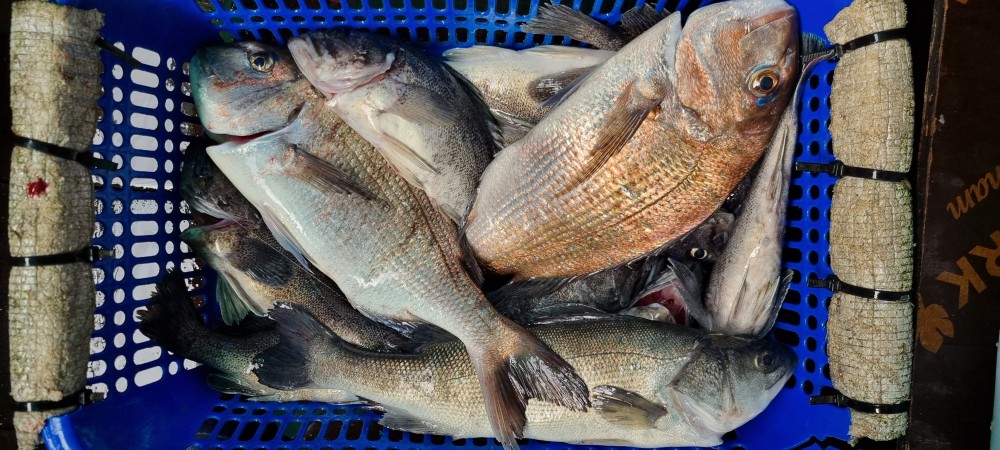
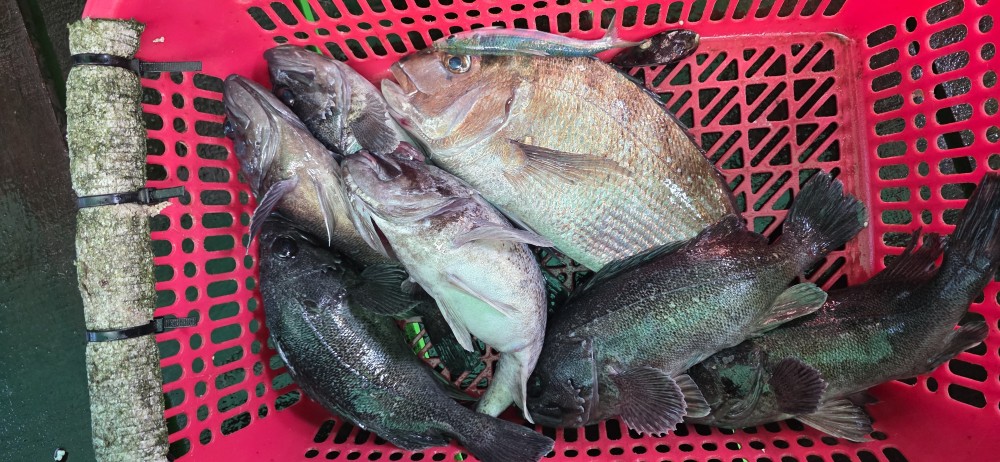
11월1일 주말조황

열심히 일한 당신 떠나라^^~

11월의 시작을 알리는 첫날이며 주말을 맞아 친목과 

화합을 도모하기 위해 단체분들의 야유회가 주를 

이룬 하루였네요.

하지만 거세게 휘몰아치는 바람과 거칠게 요동치는 

파도로 인해 낚시에 어려움을 겪었지만, 끈기와 인내로 

풍성한 어획량도 올릴 수 있었습니다.

그럼 주말 갤러리 감상해 보시죠!!

48dfc109fdc350e41e22c9926e890f02_1762004611_5624.jpg
48dfc109fdc350e41e22c9926e890f02_1762004612_3758.jpg
48dfc109fdc350e41e22c9926e890f02_1762004613_2037.jpg
48dfc109fdc350e41e22c9926e890f02_1762004614_0197.jpg
48dfc109fdc350e41e22c9926e890f02_1762004614_7752.jpg
48dfc109fdc350e41e22c9926e890f02_1762004615_6298.jpg
48dfc109fdc350e41e22c9926e890f02_1762004616_4796.jpg
48dfc109fdc350e41e22c9926e890f02_1762004617_33.jpg
48dfc109fdc350e41e22c9926e890f02_1762004618_1134.jpg
48dfc109fdc350e41e22c9926e890f02_1762004618_9853.jpg
48dfc109fdc350e41e22c9926e890f02_1762004682_5968.jpg
48dfc109fdc350e41e22c9926e890f02_1762004683_2005.jpg
48dfc109fdc350e41e22c9926e890f02_1762004683_9362.jpg
48dfc109fdc350e41e22c9926e890f02_1762004684_5891.jpg
48dfc109fdc350e41e22c9926e890f02_1762004685_4451.jpg
48dfc109fdc350e41e22c9926e890f02_1762004686_1763.jpg
48dfc109fdc350e41e22c9926e890f02_1762004686_9122.jpg
48dfc109fdc350e41e22c9926e890f02_1762004687_5521.jpg
48dfc109fdc350e41e22c9926e890f02_1762004688_3626.jpg
48dfc109fdc350e41e22c9926e890f02_1762004688_8465.jpg
48dfc109fdc350e41e22c9926e890f02_1762004706_1129.jpg
48dfc109fdc350e41e22c9926e890f02_1762004706_8551.jpg
48dfc109fdc350e41e22c9926e890f02_1762004707_6401.jpg
48dfc109fdc350e41e22c9926e890f02_1762004708_3315.jpg
48dfc109fdc350e41e22c9926e890f02_1762004709_0411.jpg
48dfc109fdc350e41e22c9926e890f02_1762004709_6317.jpg