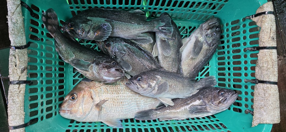
10월29일 조황

차갑게 식어가던 날씨가 언제 그랬냐는 듯....

아침부터 청명한 가을 하늘이 햇살을 머금고

온 누리를 환하게 비추며 며칠동안 쌀쌀하던 

기운을 말끔히 씻어내준 하루였네요!!

그뫄 더불어 물고기들의 활성도가 높아지며 활발한 

입질로 짜릿한 손맛과 함께 풍요의 결실을 

거두기도 하였습니다.

그럼 결과물 들여다 볼까요??

d446ab1413af51ca725ae572b0ec1b8f_1761777508_8349.jpg
d446ab1413af51ca725ae572b0ec1b8f_1761777509_3137.jpg
d446ab1413af51ca725ae572b0ec1b8f_1761777509_8647.jpg
d446ab1413af51ca725ae572b0ec1b8f_1761777510_4897.jpg
d446ab1413af51ca725ae572b0ec1b8f_1761777510_9993.jpg
d446ab1413af51ca725ae572b0ec1b8f_1761777511_6729.jpg
d446ab1413af51ca725ae572b0ec1b8f_1761777512_202.jpg
d446ab1413af51ca725ae572b0ec1b8f_1761777512_6998.jpg
d446ab1413af51ca725ae572b0ec1b8f_1761777513_4597.jpg