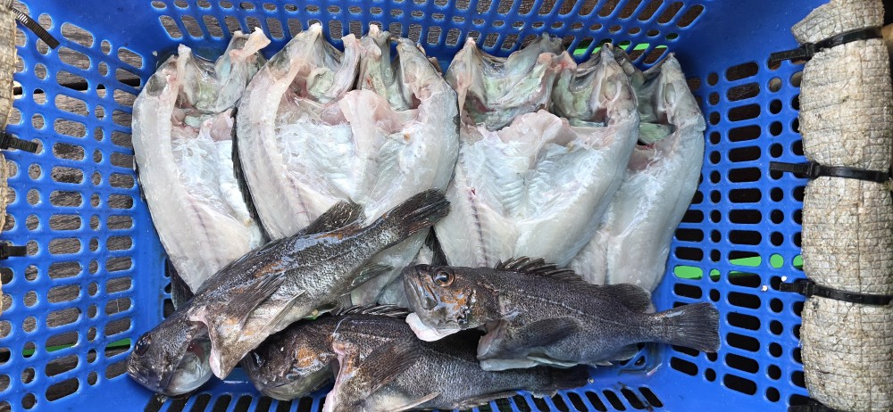
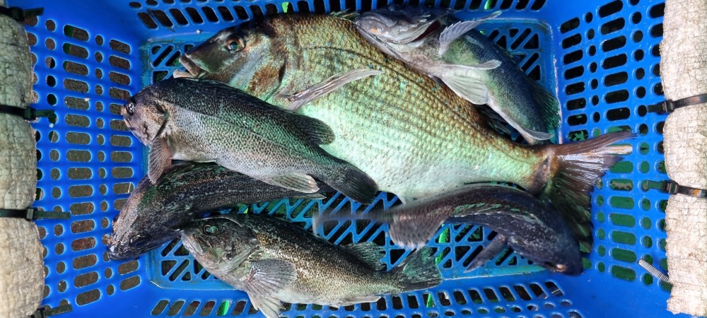
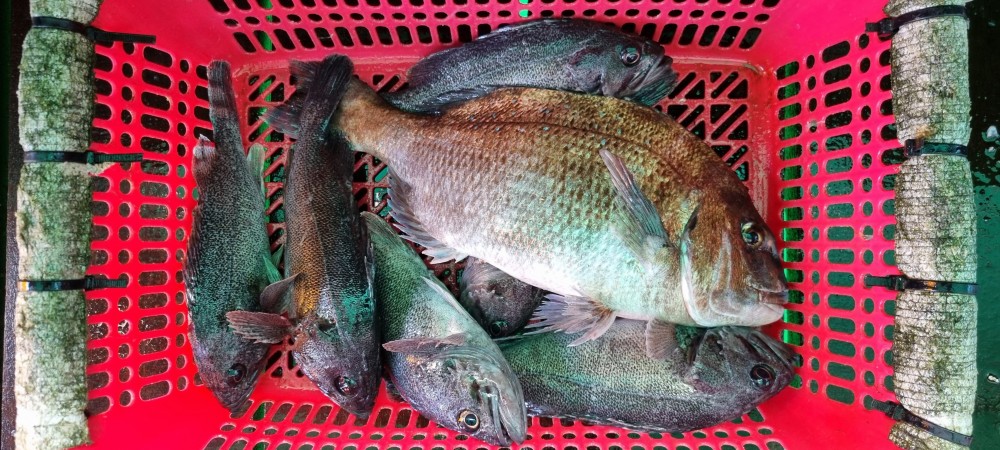
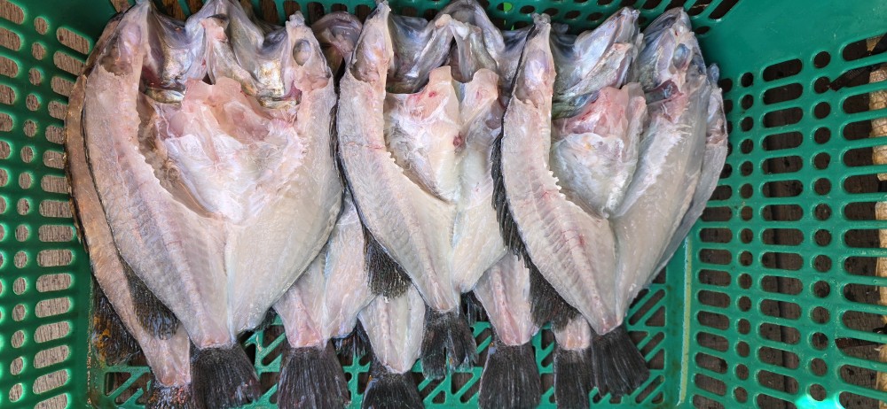
10월27일 조황

한주의 시작이자 10월의 마지막 월요일!!

전날 늦은 밤 강풍주의보가 발효되어 낚시터 운영에 

차질이 생길까봐 걱정을 했지만 다행히도 오전 6시에 

평수구역에 한하여 주의보가 해제되면서 고객님들을 배에 

승선시켜 무사히 낚시터에 접안할 수 있었습니다.

비록 날씨는 쌀쌀했지만 낚시에 대한 열망은 잠재울 수 없었으며,

좋은 결실을 맺을 수 있었네요!!

그럼 감상해 볼까요~^^♡♡♡

664ab6bcdf69dd4ecf2ca8aa32718f7d_1761577895_8361.jpg
664ab6bcdf69dd4ecf2ca8aa32718f7d_1761577896_6246.jpg
664ab6bcdf69dd4ecf2ca8aa32718f7d_1761577897_2759.jpg
664ab6bcdf69dd4ecf2ca8aa32718f7d_1761577898_0643.jpg
664ab6bcdf69dd4ecf2ca8aa32718f7d_1761577898_7083.jpg
664ab6bcdf69dd4ecf2ca8aa32718f7d_1761577899_5835.jpg
664ab6bcdf69dd4ecf2ca8aa32718f7d_1761577900_2516.jpg
664ab6bcdf69dd4ecf2ca8aa32718f7d_1761577901_2129.jpg
664ab6bcdf69dd4ecf2ca8aa32718f7d_1761577901_9944.jpg
664ab6bcdf69dd4ecf2ca8aa32718f7d_1761577902_8648.jpg
664ab6bcdf69dd4ecf2ca8aa32718f7d_1761577968_5289.jpg
664ab6bcdf69dd4ecf2ca8aa32718f7d_1761577969_4295.jpg
664ab6bcdf69dd4ecf2ca8aa32718f7d_1761577970_2118.jpg
664ab6bcdf69dd4ecf2ca8aa32718f7d_1761577970_889.jpg
664ab6bcdf69dd4ecf2ca8aa32718f7d_1761577971_6612.jpg
664ab6bcdf69dd4ecf2ca8aa32718f7d_1761577972_3745.jpg
664ab6bcdf69dd4ecf2ca8aa32718f7d_1761577973_1331.jpg
664ab6bcdf69dd4ecf2ca8aa32718f7d_1761577973_7805.jpg
664ab6bcdf69dd4ecf2ca8aa32718f7d_1761577974_6586.jpg
664ab6bcdf69dd4ecf2ca8aa32718f7d_1761577975_7215.jpg
664ab6bcdf69dd4ecf2ca8aa32718f7d_1761577992_7128.jpg
664ab6bcdf69dd4ecf2ca8aa32718f7d_1761577994_0556.jpg