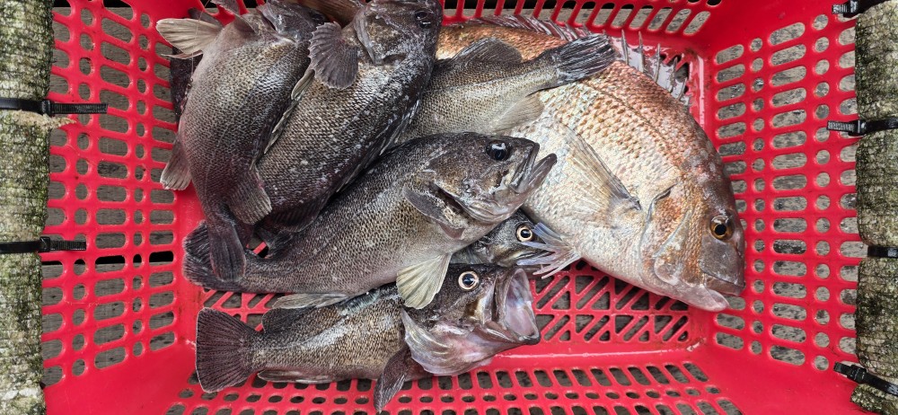
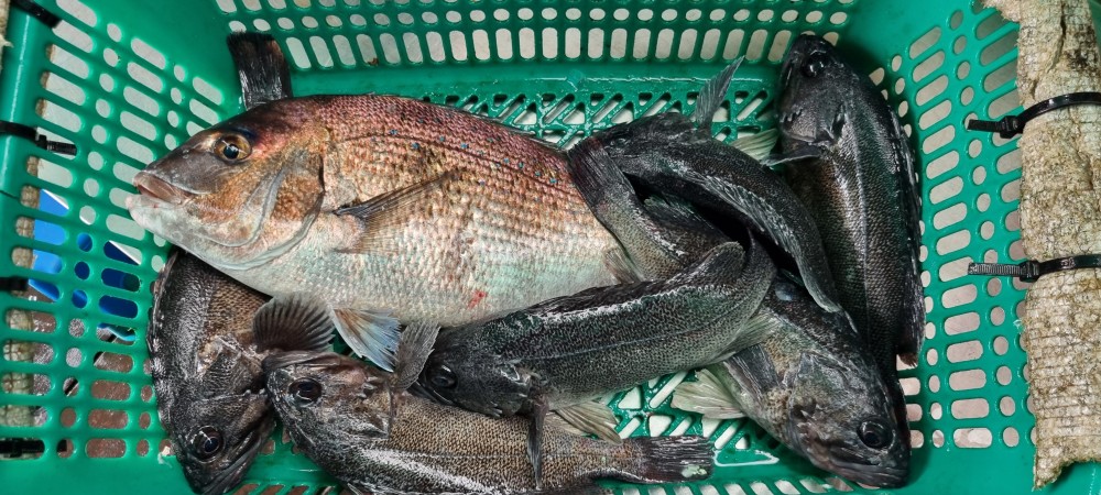
10월12일 조황

기나긴 터널을 지나 온듯한 여운이 남는 시간들.....

개인, 연인, 가족분들이 긴 연휴의 끝자락에서

소중한 추억과 낭만을 가슴깊이 새기고, 즐거움을 

느낄 수 있는 바다위의 작은 쉼터를 찾아 주셨네요!!

입어및 자연식에 출조한 모든분께서 짜릿한 손맛은.

물론 풍성한 수확의 결실까지 얻을 수 있었습니다.

2ee962fd615340373235847e7a87c71a_1760272541_4624.jpg
2ee962fd615340373235847e7a87c71a_1760272542_1251.jpg
2ee962fd615340373235847e7a87c71a_1760272542_8829.jpg
2ee962fd615340373235847e7a87c71a_1760272543_4451.jpg
2ee962fd615340373235847e7a87c71a_1760272544_2371.jpg
2ee962fd615340373235847e7a87c71a_1760272544_7906.jpg
2ee962fd615340373235847e7a87c71a_1760272545_5377.jpg
2ee962fd615340373235847e7a87c71a_1760272546_327.jpg
2ee962fd615340373235847e7a87c71a_1760272547_0252.jpg
2ee962fd615340373235847e7a87c71a_1760272547_6153.jpg
2ee962fd615340373235847e7a87c71a_1760272624_7627.jpg
2ee962fd615340373235847e7a87c71a_1760272625_3599.jpg
2ee962fd615340373235847e7a87c71a_1760272625_9387.jpg
2ee962fd615340373235847e7a87c71a_1760272626_5634.jpg
2ee962fd615340373235847e7a87c71a_1760272627_2963.jpg
2ee962fd615340373235847e7a87c71a_1760272628_2434.jpg
2ee962fd615340373235847e7a87c71a_1760272629_2271.jpg
2ee962fd615340373235847e7a87c71a_1760272630_0663.jpg
2ee962fd615340373235847e7a87c71a_1760272630_8918.jpg
2ee962fd615340373235847e7a87c71a_1760272631_7519.jpg
2ee962fd615340373235847e7a87c71a_1760272679_9046.jpg
2ee962fd615340373235847e7a87c71a_1760272680_5972.jpg
2ee962fd615340373235847e7a87c71a_1760272681_208.jpg
2ee962fd615340373235847e7a87c71a_1760272681_9657.jpg
2ee962fd615340373235847e7a87c71a_1760272682_5235.jpg
2ee962fd615340373235847e7a87c71a_1760272683_074.jpg