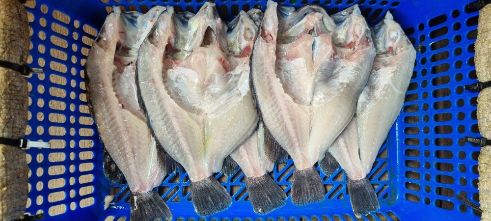
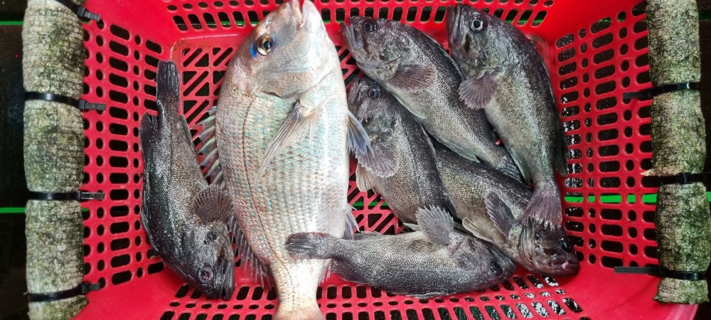
10월9일 조황

추석 연휴 마지막 날이며 한글날을 맞아 신나고 

재미있는 이야기를 구현하기 위해 여러분께서 바다 

중앙에 위치한 낚시터를 방문해 주셨습니다.

강력한 파워에 짜릿한 손맛과  즐거운 입맛 그리고 힐링의 

참맛까지 느낄 수 있는 좋은 장점이 있습니다.

그럼 한글날 캐스팅의 결과는 어땠을까요??

바로 확인  들어갑니다.~^^♡♡♡

1c035ac6c1a24b8b4f49027e138a19b6_1760015533_8594.jpg
1c035ac6c1a24b8b4f49027e138a19b6_1760015534_872.jpg
1c035ac6c1a24b8b4f49027e138a19b6_1760015535_5947.jpg
1c035ac6c1a24b8b4f49027e138a19b6_1760015536_387.jpg
1c035ac6c1a24b8b4f49027e138a19b6_1760015537_1226.jpg
1c035ac6c1a24b8b4f49027e138a19b6_1760015538_0973.jpg
1c035ac6c1a24b8b4f49027e138a19b6_1760015538_656.jpg
1c035ac6c1a24b8b4f49027e138a19b6_1760015539_4614.jpg
1c035ac6c1a24b8b4f49027e138a19b6_1760015540_0796.jpg
1c035ac6c1a24b8b4f49027e138a19b6_1760015540_9354.jpg
1c035ac6c1a24b8b4f49027e138a19b6_1760015596_7869.jpg
1c035ac6c1a24b8b4f49027e138a19b6_1760015597_3445.jpg
1c035ac6c1a24b8b4f49027e138a19b6_1760015598_1132.jpg
1c035ac6c1a24b8b4f49027e138a19b6_1760015598_6886.jpg
1c035ac6c1a24b8b4f49027e138a19b6_1760015599_5441.jpg
1c035ac6c1a24b8b4f49027e138a19b6_1760015600_0703.jpg
1c035ac6c1a24b8b4f49027e138a19b6_1760015600_8713.jpg
1c035ac6c1a24b8b4f49027e138a19b6_1760015601_4019.jpg
1c035ac6c1a24b8b4f49027e138a19b6_1760015601_9623.jpg
1c035ac6c1a24b8b4f49027e138a19b6_1760015602_7067.jpg