

10월7일 조황
- 25-10-07
- 84 회
- 0 건
추석을 가족과 함께 즐겁게 보낸 다음날
삶의 터전으로 복귀 하기전에 잠시 짬을내어
해상에 위치한 낚시터를 찾아 풍성한 수확의
기쁨과 짜릿하고 통쾌한 손맛까지 느낄 수 있는
하루를 만들 수 있었습니다.
조사님들의 열정으로 일궈낸 오늘의 조황은
어땠는지 바로 확인해 보실까요~^^♡♡♡
- 이전글 10월8일 조황 25.10.08
- 다음글 10월6일 추석조황 25.10.06
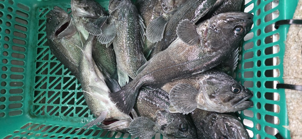
10월7일 조황
추석을 가족과 함께 즐겁게 보낸 다음날
삶의 터전으로 복귀 하기전에 잠시 짬을내어
해상에 위치한 낚시터를 찾아 풍성한 수확의
기쁨과 짜릿하고 통쾌한 손맛까지 느낄 수 있는
하루를 만들 수 있었습니다.
조사님들의 열정으로 일궈낸 오늘의 조황은
어땠는지 바로 확인해 보실까요~^^♡♡♡