

10월5일 조황
- 25-10-06
- 60 회
- 0 건
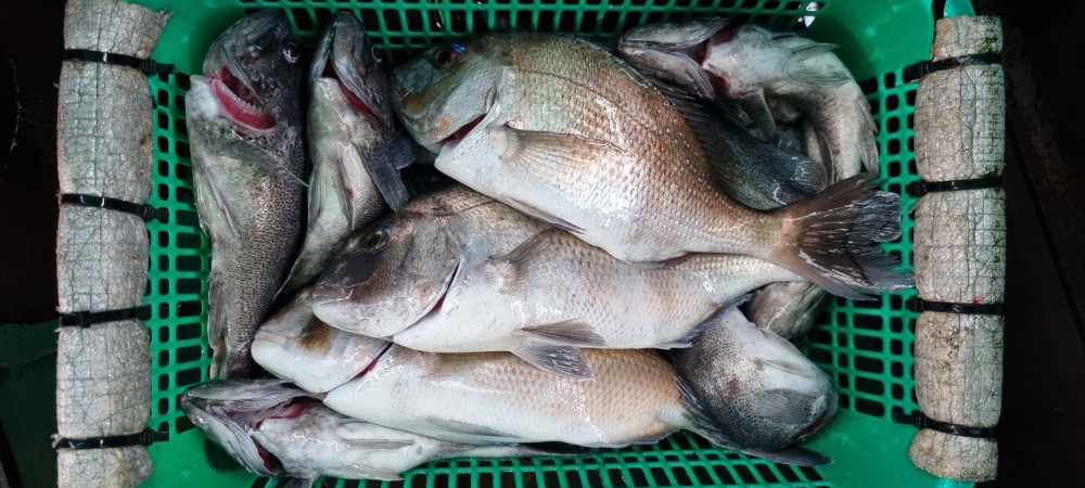
황금 연휴 셋째날이며 추석 전날을 맞아 바다에서
파로에 지친 몸을 낚시에 열정을 가지고 쏟아 붓다보면
어느덧 자신도 모르게 힘의 원천이 살아날것이라
여겨집니다.
그럼 출조한 조사님들의 활동은 어땠는지 궁금하시죠!!
바로 확인해 보겠습니다.
- 이전글 10월6일 추석조황 25.10.06
- 다음글 10월4일 조황 25.10.05
10월5일 조황
황금 연휴 셋째날이며 추석 전날을 맞아 바다에서
파로에 지친 몸을 낚시에 열정을 가지고 쏟아 붓다보면
어느덧 자신도 모르게 힘의 원천이 살아날것이라
여겨집니다.
그럼 출조한 조사님들의 활동은 어땠는지 궁금하시죠!!
바로 확인해 보겠습니다.