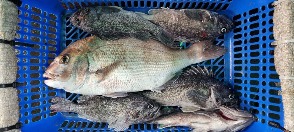
10월3일 조황

개천절및 추석  연휴가 시작되는 첫째날!!

기상청의 예보대로 거센 빗줄기가 퍼붓기 시작하면서 

출조해 주신 조사님들께서 캐스팅에 어려움을 겪었지만 

다행히 조과에는 큰 영향을 받진 않았네요 

그럼 오늘의 성과는 어땠을까요??

바로 확인해 보시죠~^^

ffd2b8dd43386b79402b1e48d95cc0c1_1759660416_2156.jpg
ffd2b8dd43386b79402b1e48d95cc0c1_1759660418_3779.jpg
ffd2b8dd43386b79402b1e48d95cc0c1_1759660420_4011.jpg
ffd2b8dd43386b79402b1e48d95cc0c1_1759660422_7064.jpg
ffd2b8dd43386b79402b1e48d95cc0c1_1759660424_433.jpg
ffd2b8dd43386b79402b1e48d95cc0c1_1759660426_4984.jpg
ffd2b8dd43386b79402b1e48d95cc0c1_1759660428_09.jpg
ffd2b8dd43386b79402b1e48d95cc0c1_1759660430_3221.jpg
ffd2b8dd43386b79402b1e48d95cc0c1_1759660432_0972.jpg
ffd2b8dd43386b79402b1e48d95cc0c1_1759660434_1607.jpg
ffd2b8dd43386b79402b1e48d95cc0c1_1759660463_8238.jpg
ffd2b8dd43386b79402b1e48d95cc0c1_1759660466_4379.jpg
ffd2b8dd43386b79402b1e48d95cc0c1_1759660469_3627.jpg
ffd2b8dd43386b79402b1e48d95cc0c1_1759660471_6473.jpg
ffd2b8dd43386b79402b1e48d95cc0c1_1759660473_8355.jpg
ffd2b8dd43386b79402b1e48d95cc0c1_1759660476_797.jpg
ffd2b8dd43386b79402b1e48d95cc0c1_1759660479_4172.jpg
ffd2b8dd43386b79402b1e48d95cc0c1_1759660481_9873.jpg
ffd2b8dd43386b79402b1e48d95cc0c1_1759660490_1104.jpg
ffd2b8dd43386b79402b1e48d95cc0c1_1759660499_0667.jpg