9월30일 조황

9월의 마지막 날~^^

완연한 가을의 정취를 그리며 나만의 힐링 공간을 찾아 

떠나는 여행길.........

고요한 평일을 택해  갈매기가 푸른 하늘을 활공하고

쪽빛 바다가 손짓하는 낚시 체험장으로.......

스카이를 찾아 열정의 캐스팅으로 모든분께서 풍요로운 

성과를 거둘수 있었네요!!

출조해 주신 여러분께 감사드리며, 수고하셨습니다!!

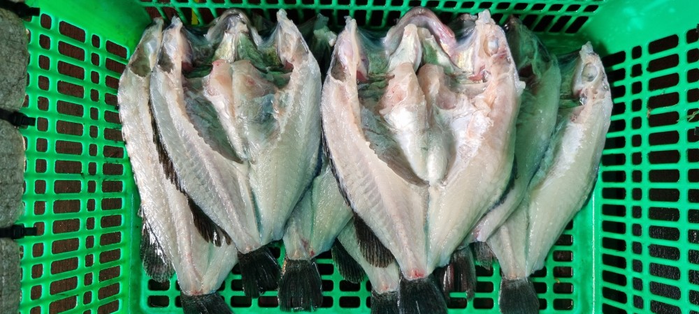
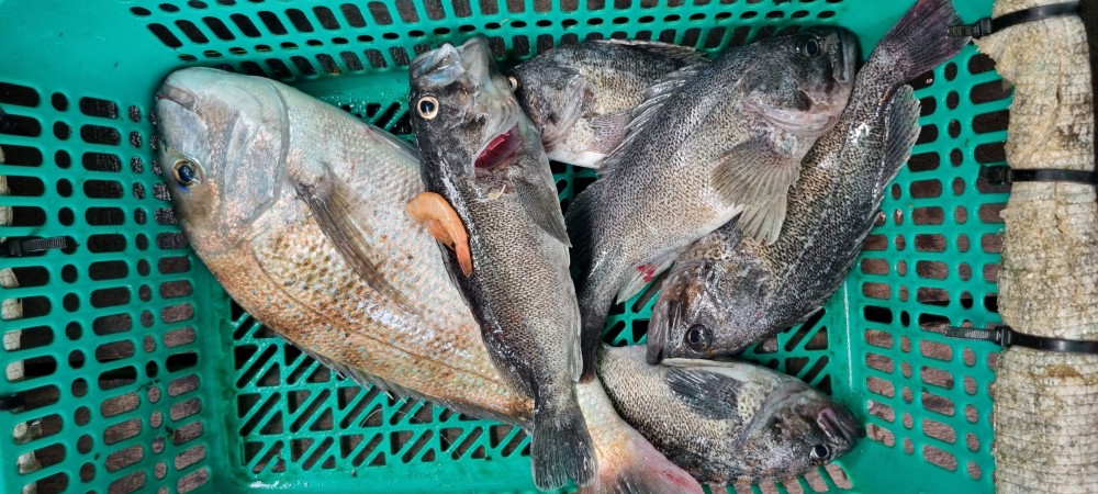
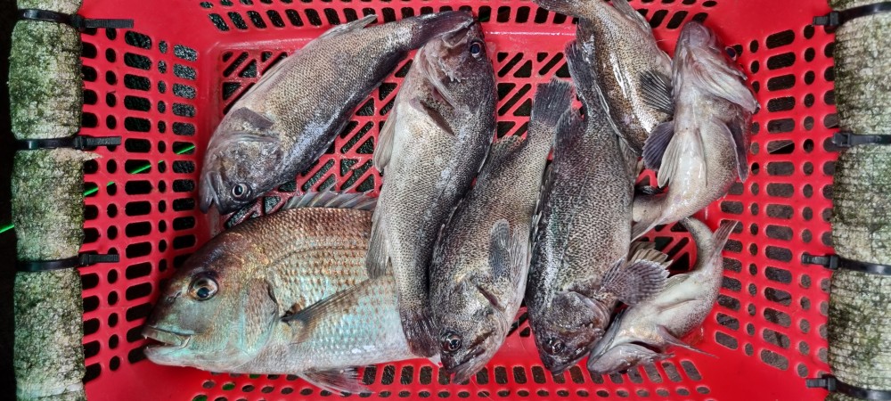
오늘의 결과물 들여다 볼까요??

e05abdeb1ed85f3df07f2802b886c2c7_1759281248_8557.jpg
e05abdeb1ed85f3df07f2802b886c2c7_1759281259_5808.jpg
e05abdeb1ed85f3df07f2802b886c2c7_1759281268_8846.jpg
e05abdeb1ed85f3df07f2802b886c2c7_1759281280_0821.jpg
e05abdeb1ed85f3df07f2802b886c2c7_1759281340_398.jpg
e05abdeb1ed85f3df07f2802b886c2c7_1759281353_9019.jpg
e05abdeb1ed85f3df07f2802b886c2c7_1759281367_131.jpg
e05abdeb1ed85f3df07f2802b886c2c7_1759281383_0342.jpg
e05abdeb1ed85f3df07f2802b886c2c7_1759281398_8976.jpg
e05abdeb1ed85f3df07f2802b886c2c7_1759281409_603.jpg
e05abdeb1ed85f3df07f2802b886c2c7_1759281521_0777.jpg
e05abdeb1ed85f3df07f2802b886c2c7_1759281533_2567.jpg
e05abdeb1ed85f3df07f2802b886c2c7_1759281547_6503.jpg
e05abdeb1ed85f3df07f2802b886c2c7_1759281561_1272.jpg
e05abdeb1ed85f3df07f2802b886c2c7_1759281573_8412.jpg
e05abdeb1ed85f3df07f2802b886c2c7_1759281586_7581.jpg
e05abdeb1ed85f3df07f2802b886c2c7_1759281657_9928.jpg
e05abdeb1ed85f3df07f2802b886c2c7_1759281677_1909.jpg
e05abdeb1ed85f3df07f2802b886c2c7_1759281704_8057.jpg
e05abdeb1ed85f3df07f2802b886c2c7_1759281751_8498.jpg
e05abdeb1ed85f3df07f2802b886c2c7_1759281772_0874.jpg
e05abdeb1ed85f3df07f2802b886c2c7_1759281789_7688.jpg
e05abdeb1ed85f3df07f2802b886c2c7_1759281804_744.jpg