9월28일 조황

종일 비가 내린다는  일기예보에 많은 분들이 

출조를 포기했지만 그래도 악천후를 무릅쓰고 소수의 

조사님들께서 출조를 감행해 주셨네요.

휘몰아치는 빗속에서도 끈기와 인내로 캐스팅에 

전념 하였으며  좋은 성과를 거둘수 있었습니다!!

방문해 주신 고객님들께 감사드리며, 수고하셨습니다~^^

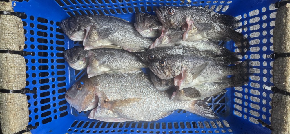
그럼 주일 조황 관찰해 볼까요^^

88946f2ab5cc2e608f91208ddc7142b3_1759180752_1548.jpg
88946f2ab5cc2e608f91208ddc7142b3_1759180761_697.jpg
88946f2ab5cc2e608f91208ddc7142b3_1759180777_0575.jpg
88946f2ab5cc2e608f91208ddc7142b3_1759180791_8916.jpg
88946f2ab5cc2e608f91208ddc7142b3_1759180808_4748.jpg
88946f2ab5cc2e608f91208ddc7142b3_1759180833_2547.jpg