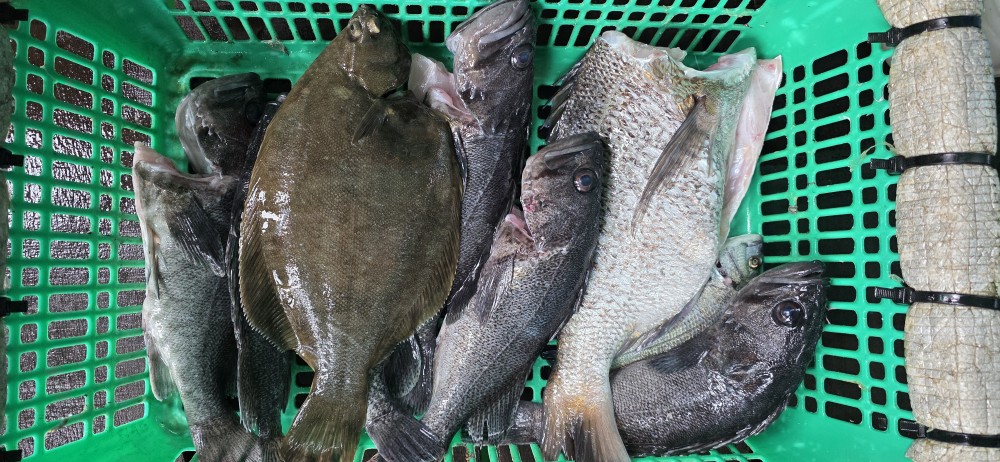
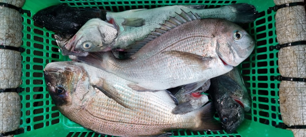
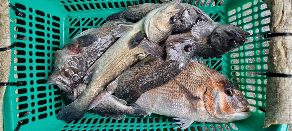
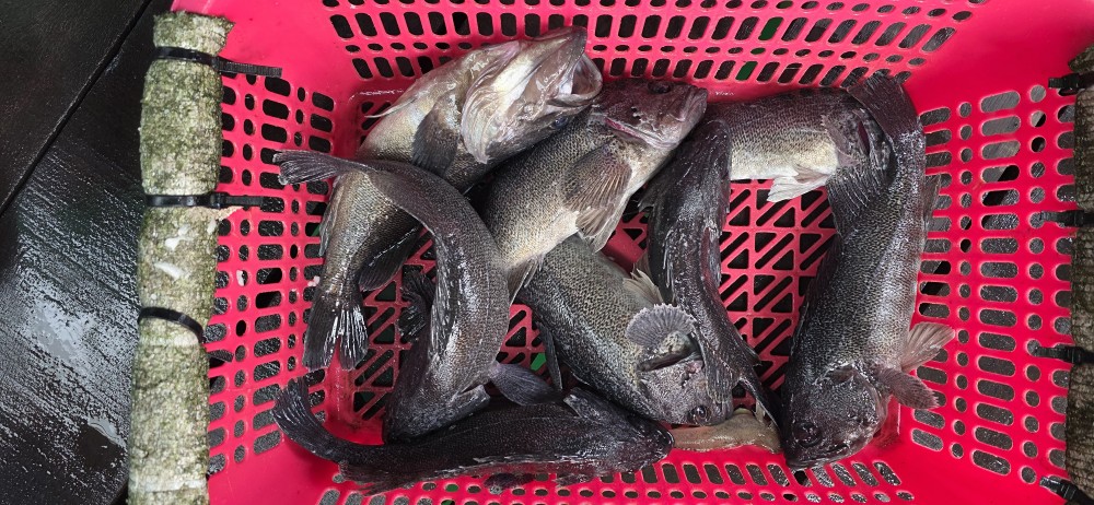
11월8일 주말조황

열심히 일한 당신 떠나라는 스카이의  슬로건처럼 

주말을 맞아 일주일간의 누적된 피로를 말끔히 날려버리고 

재 충전의 기회로 삼기위해 바다위의 휴식 공간을 방문해 

주신 고객님들께 감사드립니다.

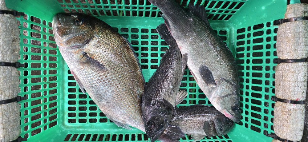
입어식에선 전반적으로 안정된 조과를 보였으나, 자연식은 

입질 받기가 상당히 어려운 하루가 되었네요!!

다음을 기약하며 오늘의 결과물 들여다 볼까요??

ccc12afd71cb5a8e9ed6d2abc5ee10d4_1762694449_3562.jpg
ccc12afd71cb5a8e9ed6d2abc5ee10d4_1762694449_9342.jpg
ccc12afd71cb5a8e9ed6d2abc5ee10d4_1762694450_6215.jpg
ccc12afd71cb5a8e9ed6d2abc5ee10d4_1762694451_1952.jpg
ccc12afd71cb5a8e9ed6d2abc5ee10d4_1762694451_7863.jpg
ccc12afd71cb5a8e9ed6d2abc5ee10d4_1762694452_4767.jpg
ccc12afd71cb5a8e9ed6d2abc5ee10d4_1762694453_0689.jpg
ccc12afd71cb5a8e9ed6d2abc5ee10d4_1762694453_8166.jpg
ccc12afd71cb5a8e9ed6d2abc5ee10d4_1762694454_35.jpg
ccc12afd71cb5a8e9ed6d2abc5ee10d4_1762694455_2183.jpg
ccc12afd71cb5a8e9ed6d2abc5ee10d4_1762694491_1143.jpg
ccc12afd71cb5a8e9ed6d2abc5ee10d4_1762694491_9229.jpg
ccc12afd71cb5a8e9ed6d2abc5ee10d4_1762694492_5842.jpg
ccc12afd71cb5a8e9ed6d2abc5ee10d4_1762694493_3895.jpg
ccc12afd71cb5a8e9ed6d2abc5ee10d4_1762694493_956.jpg
ccc12afd71cb5a8e9ed6d2abc5ee10d4_1762694494_7957.jpg
ccc12afd71cb5a8e9ed6d2abc5ee10d4_1762694495_4396.jpg
ccc12afd71cb5a8e9ed6d2abc5ee10d4_1762694496_278.jpg
ccc12afd71cb5a8e9ed6d2abc5ee10d4_1762694496_9365.jpg
ccc12afd71cb5a8e9ed6d2abc5ee10d4_1762694497_7107.jpg
ccc12afd71cb5a8e9ed6d2abc5ee10d4_1762694514_0412.jpg
ccc12afd71cb5a8e9ed6d2abc5ee10d4_1762694515_1642.jpg