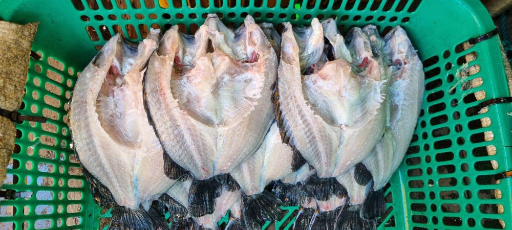
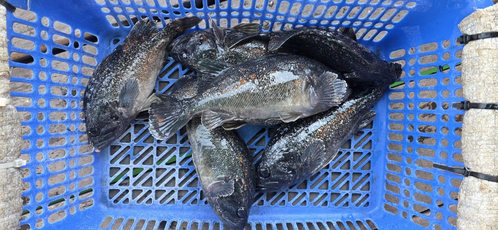
2월19일 조황

설 연휴가 끝나고 일상으로 복귀한 첫날이지만 

개인및 가족 그리고 동료와 함께 연차및 월차 휴가를 

내어 스카이 좌대낚시터를 찾아 주셨습니다.

손에 움켜쥔 낚싯대와 혼연일체가되어 열정의

캐스팅을 하노라면 어망에는 물고기가.....

출조하신 모든분의 가슴속에는 소중한 추억과 낭만을 

간직한 시간이 아니었나 생각이 듭니다.

모두 수고하셨습니다~^^

1e2126870c8e1b121d1ab9dc533916d9_1771507108_7027.jpg
1e2126870c8e1b121d1ab9dc533916d9_1771507112_3851.jpg
1e2126870c8e1b121d1ab9dc533916d9_1771507115_6817.jpg
1e2126870c8e1b121d1ab9dc533916d9_1771507119_2019.jpg
1e2126870c8e1b121d1ab9dc533916d9_1771507122_7098.jpg
1e2126870c8e1b121d1ab9dc533916d9_1771507127_0404.jpg
1e2126870c8e1b121d1ab9dc533916d9_1771507130_2538.jpg
1e2126870c8e1b121d1ab9dc533916d9_1771507134_5746.jpg
1e2126870c8e1b121d1ab9dc533916d9_1771507138_4511.jpg
1e2126870c8e1b121d1ab9dc533916d9_1771507142_9337.jpg
1e2126870c8e1b121d1ab9dc533916d9_1771507290_5581.jpg
1e2126870c8e1b121d1ab9dc533916d9_1771507293_5034.jpg
1e2126870c8e1b121d1ab9dc533916d9_1771507295_8819.jpg
1e2126870c8e1b121d1ab9dc533916d9_1771507298_2829.jpg
1e2126870c8e1b121d1ab9dc533916d9_1771507300_3098.jpg
1e2126870c8e1b121d1ab9dc533916d9_1771507302_9942.jpg
1e2126870c8e1b121d1ab9dc533916d9_1771507305_2297.jpg
1e2126870c8e1b121d1ab9dc533916d9_1771507308_0246.jpg
1e2126870c8e1b121d1ab9dc533916d9_1771507310_2341.jpg
1e2126870c8e1b121d1ab9dc533916d9_1771507313_1185.jpg