2월17일 설날조황

까치, 까치 설날은 어저께고요~^^

우리, 우리 설날은 오늘이래요~^^

설 명절을 맞이한 이른 아침부터 낚시터 운영에 대한

전화 문의및 출조에 대한 질의가 계속 이어지면서 

하루의 일과를 시작하게 되었네요!!

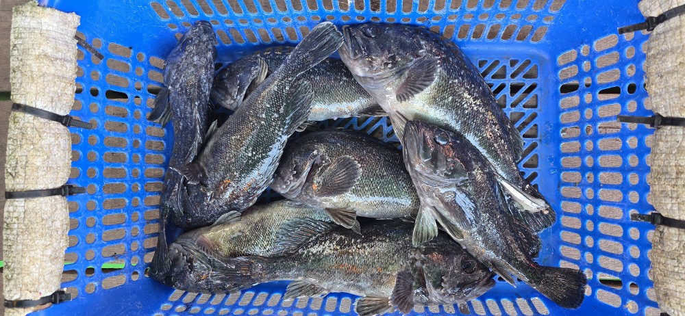
거기에 포근하고 온화한 날씨가 뒷받침 되면서

낚시에도 별 무리없이 수월하게 캐스팅에 전념할 수 

있었으며, 풍요의 결실을 맺을 수 있었습니다.

방문해 주신 조사님들 수고하셨습니다.

새해 복 많이 받으세요^^~♡♡♡

dc702c50f2a4ae0e9428d9300599dbcc_1771331110_8821.jpg
dc702c50f2a4ae0e9428d9300599dbcc_1771331117_2585.jpg
dc702c50f2a4ae0e9428d9300599dbcc_1771331120_9247.jpg
dc702c50f2a4ae0e9428d9300599dbcc_1771331126_0207.jpg
dc702c50f2a4ae0e9428d9300599dbcc_1771331129_2688.jpg
dc702c50f2a4ae0e9428d9300599dbcc_1771331133_9121.jpg
dc702c50f2a4ae0e9428d9300599dbcc_1771331137_6567.jpg
dc702c50f2a4ae0e9428d9300599dbcc_1771331142_8257.jpg
dc702c50f2a4ae0e9428d9300599dbcc_1771331145_9445.jpg
dc702c50f2a4ae0e9428d9300599dbcc_1771331149_8229.jpg
dc702c50f2a4ae0e9428d9300599dbcc_1771331187_6816.jpg
dc702c50f2a4ae0e9428d9300599dbcc_1771331192_9328.jpg