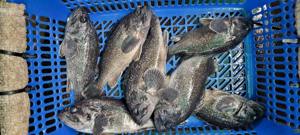
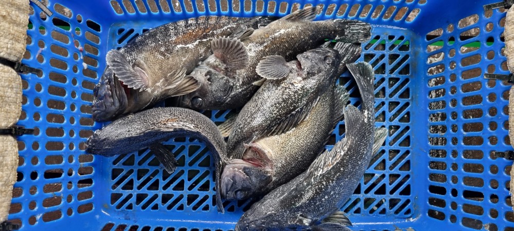
2월5일 조황

겨울철 답지않게 연이어 지속되는 온화한 기온속에서 

마음까지 포근함을 느끼게 한 하루가 되었네요!!

그리고 이러한 여건을 활용하여 바다 좌대낚시터를 

찾아 주신 고객님들께서도 추위와의 싸움 보다는

자기 자신과의 인내심에서 이겨내는 것이라 여겨집니다.

그럼 캐스팅의 결과는 어땠을까요??

바로 검증해 보시죠~^^♡♡♡

6051fbc7f2698aac6481d23da7bda289_1770364753_8567.jpg
6051fbc7f2698aac6481d23da7bda289_1770364756_9494.jpg
6051fbc7f2698aac6481d23da7bda289_1770364760_3875.jpg
6051fbc7f2698aac6481d23da7bda289_1770364765_4321.jpg
6051fbc7f2698aac6481d23da7bda289_1770364768_5208.jpg
6051fbc7f2698aac6481d23da7bda289_1770364771_3314.jpg
6051fbc7f2698aac6481d23da7bda289_1770364774_2044.jpg
6051fbc7f2698aac6481d23da7bda289_1770364777_1446.jpg
6051fbc7f2698aac6481d23da7bda289_1770364780_9208.jpg
6051fbc7f2698aac6481d23da7bda289_1770364785_1518.jpg
6051fbc7f2698aac6481d23da7bda289_1770364818_7454.jpg
6051fbc7f2698aac6481d23da7bda289_1770364820_4541.jpg
6051fbc7f2698aac6481d23da7bda289_1770364821_9816.jpg
6051fbc7f2698aac6481d23da7bda289_1770364824_2986.jpg
6051fbc7f2698aac6481d23da7bda289_1770364826_1841.jpg
6051fbc7f2698aac6481d23da7bda289_1770364828_9861.jpg
6051fbc7f2698aac6481d23da7bda289_1770364831_593.jpg
6051fbc7f2698aac6481d23da7bda289_1770364833_6682.jpg
6051fbc7f2698aac6481d23da7bda289_1770364835_6048.jpg
6051fbc7f2698aac6481d23da7bda289_1770364837_3594.jpg