12월20일 주말조황

열심히 일한 당신 떠나라~^^

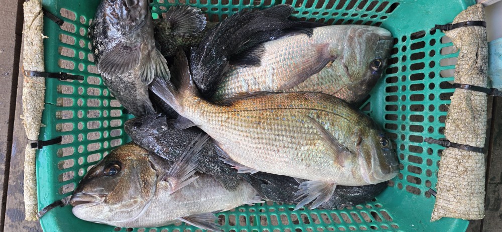
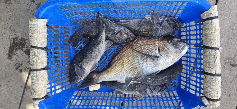
주말을 맞이 했지만 하늘엔 온통 먹구름이 햇빛을 차단하고 비는 내리진 않았지만 우중충한 날씨가 이어지면서 마음까지 먹먹하게 만드는 하루가 되었네요.

그렇지만 아직까지 수온이 10°C 내외를 유지하면서 물고기들의 활성도가 살아나며 활발한 입질을 받을 수 있었습니다.

모두 수고하셨습니다!!

af8d98314759aa89b982e5d9ea779d9d_1766286328_7581.jpg
af8d98314759aa89b982e5d9ea779d9d_1766286330_2541.jpg
af8d98314759aa89b982e5d9ea779d9d_1766286331_47.jpg
af8d98314759aa89b982e5d9ea779d9d_1766286332_8807.jpg
af8d98314759aa89b982e5d9ea779d9d_1766286334_0264.jpg
af8d98314759aa89b982e5d9ea779d9d_1766286335_3349.jpg
af8d98314759aa89b982e5d9ea779d9d_1766286336_0848.jpg
af8d98314759aa89b982e5d9ea779d9d_1766286337_3209.jpg
af8d98314759aa89b982e5d9ea779d9d_1766286338_3223.jpg
af8d98314759aa89b982e5d9ea779d9d_1766286339_055.jpg
af8d98314759aa89b982e5d9ea779d9d_1766286378_3328.jpg
af8d98314759aa89b982e5d9ea779d9d_1766286379_1134.jpg
af8d98314759aa89b982e5d9ea779d9d_1766286379_8086.jpg
af8d98314759aa89b982e5d9ea779d9d_1766286380_5307.jpg
af8d98314759aa89b982e5d9ea779d9d_1766286381_1438.jpg
af8d98314759aa89b982e5d9ea779d9d_1766286382_1207.jpg