12월16일 조황

주중!!

간만에 찾아온 자신만의 시간을 활용할 수 있는 방법 중 

하나는 바다 중앙에 위치한 낚시터에서 주위 배경을 벗삼아 

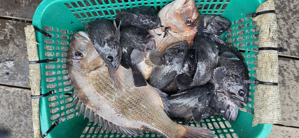
낚싯대를 드리우고 캐스팅에 몰두하다 보면 참돔의 묵직한 

손맛과 함께 풍요의 결실을 거두기도 하네요~^^

그럼 오늘의 조황 둘러 볼까요!!

3ff1211f1eaa8bdcc2add3b1ce67d188_1765948908_4256.jpg
3ff1211f1eaa8bdcc2add3b1ce67d188_1765948915_3221.jpg
3ff1211f1eaa8bdcc2add3b1ce67d188_1765948918_9445.jpg
3ff1211f1eaa8bdcc2add3b1ce67d188_1765948924_8033.jpg
3ff1211f1eaa8bdcc2add3b1ce67d188_1765948930_1032.jpg
3ff1211f1eaa8bdcc2add3b1ce67d188_1765948940_8766.jpg
3ff1211f1eaa8bdcc2add3b1ce67d188_1765948946_917.jpg
3ff1211f1eaa8bdcc2add3b1ce67d188_1765948956_2154.jpg
3ff1211f1eaa8bdcc2add3b1ce67d188_1765948959_7536.jpg
3ff1211f1eaa8bdcc2add3b1ce67d188_1765948964_2833.jpg