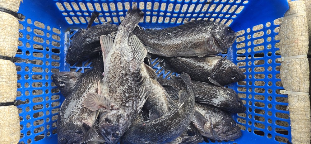
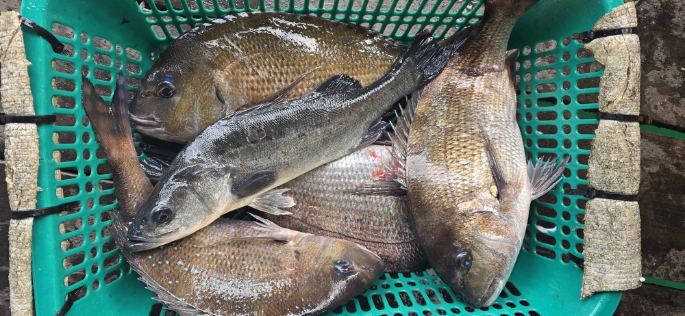
12월7일 조황

떠나자 서해안의 청정해역으로.....

휴일을 맞이 했지만 겨울철 이다보니 소수의 

조사님들께서 출조를 해 주셨으며, 추위도 녹일만큼 

열정의 캐스팅으로 모든분께서 손맛은 물론 넉넉한 수확의 

결실을 거둘수 있었네요!!

그럼 오늘의 결과물 감상해 볼까요~^^

a3abf607e457d7ccf06a70afb4f9c0ca_1765116664_2406.jpg
a3abf607e457d7ccf06a70afb4f9c0ca_1765116665_1128.jpg
a3abf607e457d7ccf06a70afb4f9c0ca_1765116666_2232.jpg
a3abf607e457d7ccf06a70afb4f9c0ca_1765116667_0633.jpg
a3abf607e457d7ccf06a70afb4f9c0ca_1765116668_3298.jpg
a3abf607e457d7ccf06a70afb4f9c0ca_1765116669_445.jpg
a3abf607e457d7ccf06a70afb4f9c0ca_1765116670_5399.jpg
a3abf607e457d7ccf06a70afb4f9c0ca_1765116671_3286.jpg
a3abf607e457d7ccf06a70afb4f9c0ca_1765116671_9599.jpg
a3abf607e457d7ccf06a70afb4f9c0ca_1765116672_7192.jpg
a3abf607e457d7ccf06a70afb4f9c0ca_1765116689_4499.jpg
a3abf607e457d7ccf06a70afb4f9c0ca_1765116690_2337.jpg
a3abf607e457d7ccf06a70afb4f9c0ca_1765116691_0964.jpg
a3abf607e457d7ccf06a70afb4f9c0ca_1765116691_9132.jpg