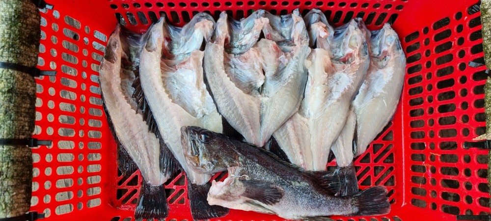
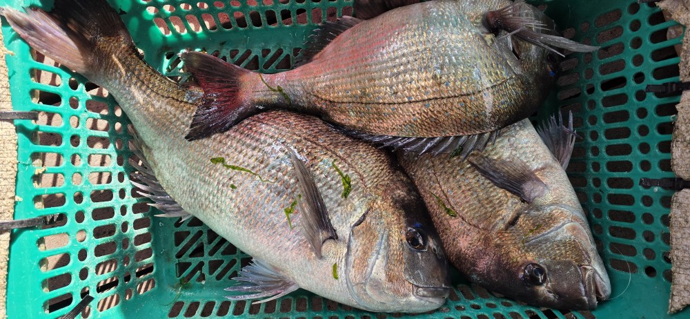
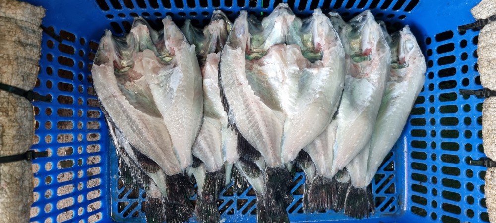
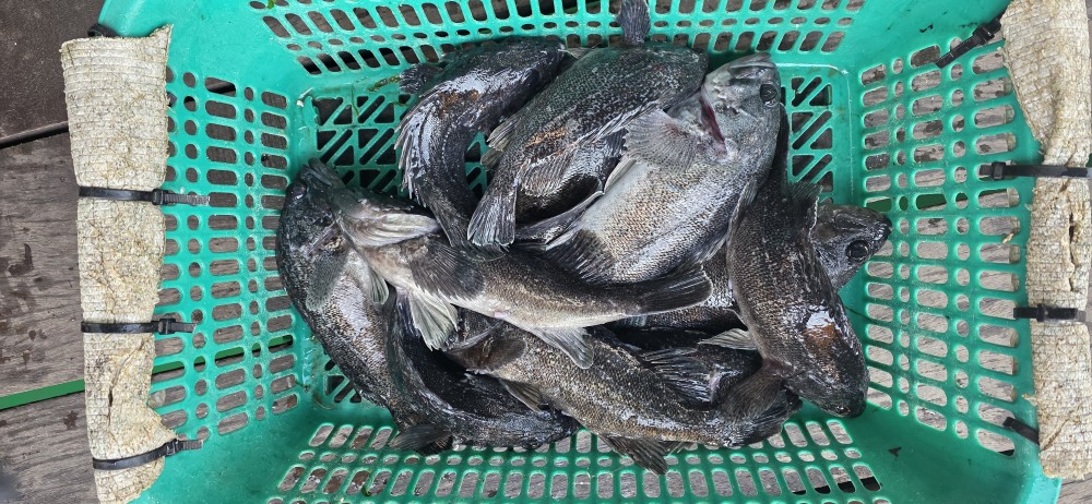
12월6일 주말조황

열심히 일한 당신 떠나라!!

겨울철 배에 승선하여 새벽의 바다를 가르며 출근 

하다보면 칼바람이 안면을 스치고 지나가면 섬뜩한 

기분이 밀려옵니다.

하지만 조사님들께서는 아침 8시에 하우스가 설치되어 

있는 배로 낚시터에 입장하기에 추위에 노출되는 

불상사는 없습니다.

그럼 주말 조과는 어땠는지 확인해 볼까요??

647598cac987169426bd33818fe28b8e_1765115652_767.jpg
647598cac987169426bd33818fe28b8e_1765115653_3886.jpg
647598cac987169426bd33818fe28b8e_1765115654_1154.jpg
647598cac987169426bd33818fe28b8e_1765115655_4124.jpg
647598cac987169426bd33818fe28b8e_1765115656_2369.jpg
647598cac987169426bd33818fe28b8e_1765115657_0036.jpg
647598cac987169426bd33818fe28b8e_1765115657_8129.jpg
647598cac987169426bd33818fe28b8e_1765115658_7946.jpg
647598cac987169426bd33818fe28b8e_1765115659_5049.jpg
647598cac987169426bd33818fe28b8e_1765115688_066.jpg
647598cac987169426bd33818fe28b8e_1765115689_0383.jpg
647598cac987169426bd33818fe28b8e_1765115689_9042.jpg
647598cac987169426bd33818fe28b8e_1765115690_8813.jpg
647598cac987169426bd33818fe28b8e_1765115691_6361.jpg
647598cac987169426bd33818fe28b8e_1765115692_6156.jpg
647598cac987169426bd33818fe28b8e_1765115693_6959.jpg
647598cac987169426bd33818fe28b8e_1765115694_3507.jpg
647598cac987169426bd33818fe28b8e_1765115695_2207.jpg
647598cac987169426bd33818fe28b8e_1765115695_999.jpg