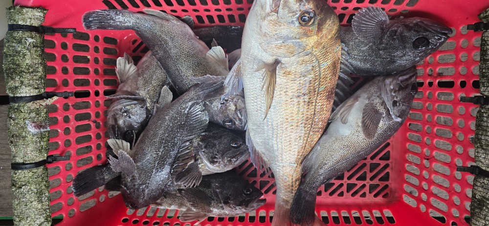
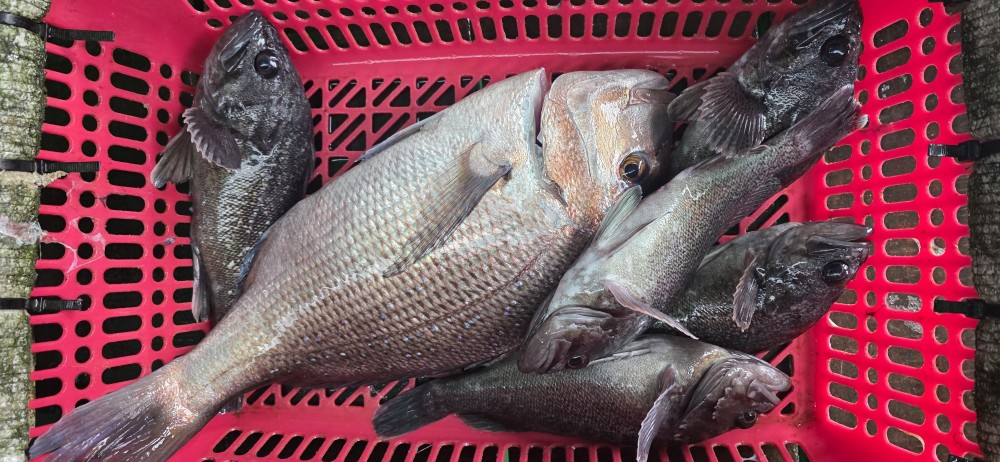
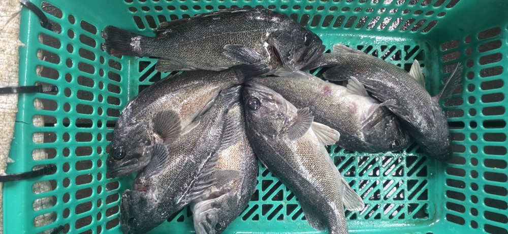
10월26일 조황

일요일 오전 중ㆍ후반으로 접어들면서 거세게 휘몰아치는 

비바람으로 바다 전체를 잠식해 버렸으나, 낚시에 대한 

간절함으로 열정을 다하여 캐스팅에 전념을 다 한

하루였네요!!

또한 입어및 자연식 숭어 낚시 모두 활기 넘치는 입질로 

풍성한 조과도 올릴 수 있었습니다.

열악한 낚시 환경에 모든 고객님 수고하셨습니다.

5ce35b89d580a4395d2b7a33a66020f8_1761487485_1788.jpg
5ce35b89d580a4395d2b7a33a66020f8_1761487485_907.jpg
5ce35b89d580a4395d2b7a33a66020f8_1761487486_6758.jpg
5ce35b89d580a4395d2b7a33a66020f8_1761487487_5434.jpg
5ce35b89d580a4395d2b7a33a66020f8_1761487488_2528.jpg
5ce35b89d580a4395d2b7a33a66020f8_1761487489_0108.jpg
5ce35b89d580a4395d2b7a33a66020f8_1761487489_7492.jpg
5ce35b89d580a4395d2b7a33a66020f8_1761487490_5594.jpg
5ce35b89d580a4395d2b7a33a66020f8_1761487491_3689.jpg
5ce35b89d580a4395d2b7a33a66020f8_1761487492_188.jpg
5ce35b89d580a4395d2b7a33a66020f8_1761487514_6733.jpg
5ce35b89d580a4395d2b7a33a66020f8_1761487515_4146.jpg
5ce35b89d580a4395d2b7a33a66020f8_1761487516_0163.jpg
5ce35b89d580a4395d2b7a33a66020f8_1761487516_6484.jpg
5ce35b89d580a4395d2b7a33a66020f8_1761487517_4969.jpg
5ce35b89d580a4395d2b7a33a66020f8_1761487518_1814.jpg
5ce35b89d580a4395d2b7a33a66020f8_1761487519_1678.jpg
5ce35b89d580a4395d2b7a33a66020f8_1761487519_8938.jpg
5ce35b89d580a4395d2b7a33a66020f8_1761487520_4727.jpg
5ce35b89d580a4395d2b7a33a66020f8_1761487521_1787.jpg
5ce35b89d580a4395d2b7a33a66020f8_1761487560_242.jpg
5ce35b89d580a4395d2b7a33a66020f8_1761487560_9888.jpg
5ce35b89d580a4395d2b7a33a66020f8_1761487561_5952.jpg
5ce35b89d580a4395d2b7a33a66020f8_1761487562_3521.jpg
5ce35b89d580a4395d2b7a33a66020f8_1761487562_9405.jpg
5ce35b89d580a4395d2b7a33a66020f8_1761487563_7491.jpg
5ce35b89d580a4395d2b7a33a66020f8_1761487564_3562.jpg
5ce35b89d580a4395d2b7a33a66020f8_1761487565_1377.jpg