10월25일 주말조황

열심히 일한 당신 떠나라!!

주말을 맞아 일주일간의 힘들고 고된 일상의 스트레스를 

훌훌 털어버리고 각지에 흩어져서 생활하던 친우들이 

친목과 화합을 위해 해상위에 자리잡은 바다 좌대낚시터를 

찾아 주셨습니다.

낚싯대를 바다에 드리우고 동무들과 그동안 못했던 정다운 

이야기를 나누며 소중한 추억과 낭만을 가슴깊이 간직한 

시간이 아니었나 생각이 듭니다.

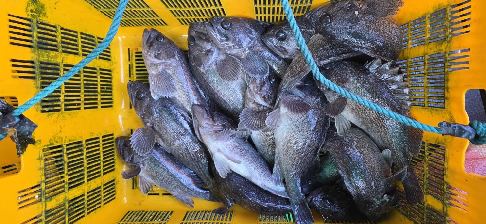
그리고 풍성한 수확의 결실을 거두기도 했네요!!

모두 수고하셨습니다.

234f69ffc4fda5a230c3381efdf0e880_1761399132_1033.jpg
234f69ffc4fda5a230c3381efdf0e880_1761399132_849.jpg
234f69ffc4fda5a230c3381efdf0e880_1761399133_6079.jpg
234f69ffc4fda5a230c3381efdf0e880_1761399134_3432.jpg
234f69ffc4fda5a230c3381efdf0e880_1761399135_0548.jpg
234f69ffc4fda5a230c3381efdf0e880_1761399135_907.jpg
234f69ffc4fda5a230c3381efdf0e880_1761399136_6937.jpg
234f69ffc4fda5a230c3381efdf0e880_1761399137_2632.jpg
234f69ffc4fda5a230c3381efdf0e880_1761399137_9235.jpg
234f69ffc4fda5a230c3381efdf0e880_1761399138_7163.jpg
234f69ffc4fda5a230c3381efdf0e880_1761399162_7512.jpg
234f69ffc4fda5a230c3381efdf0e880_1761399163_5272.jpg
234f69ffc4fda5a230c3381efdf0e880_1761399164_3976.jpg
234f69ffc4fda5a230c3381efdf0e880_1761399165_9069.jpg
234f69ffc4fda5a230c3381efdf0e880_1761399166_9077.jpg
234f69ffc4fda5a230c3381efdf0e880_1761399167_8071.jpg
234f69ffc4fda5a230c3381efdf0e880_1761399169_0296.jpg
234f69ffc4fda5a230c3381efdf0e880_1761399169_9449.jpg
234f69ffc4fda5a230c3381efdf0e880_1761399170_9823.jpg
234f69ffc4fda5a230c3381efdf0e880_1761399171_9314.jpg
234f69ffc4fda5a230c3381efdf0e880_1761399184_3514.jpg
234f69ffc4fda5a230c3381efdf0e880_1761399185_1268.jpg
234f69ffc4fda5a230c3381efdf0e880_1761399186_049.jpg
234f69ffc4fda5a230c3381efdf0e880_1761399186_8893.jpg
234f69ffc4fda5a230c3381efdf0e880_1761399187_6891.jpg