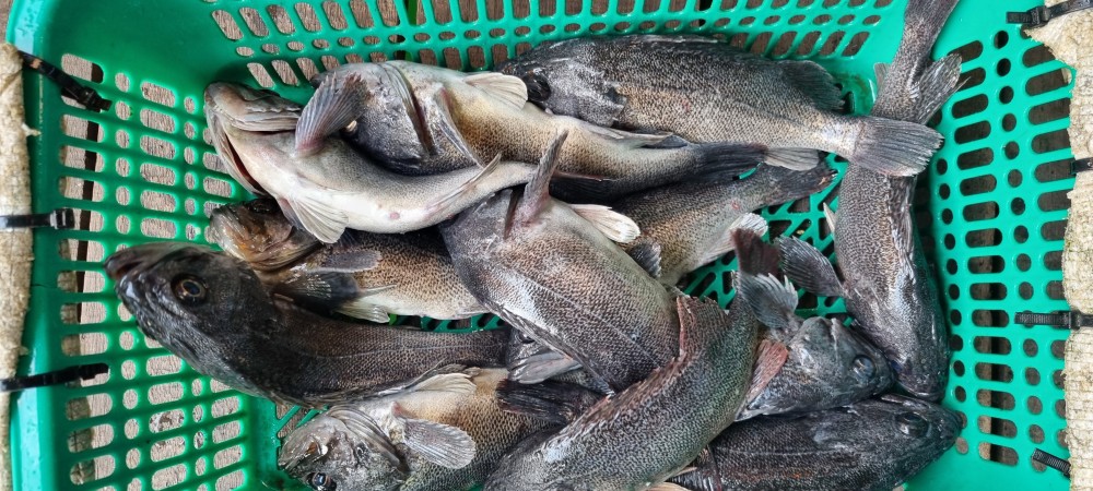
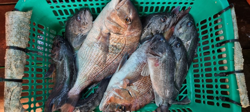
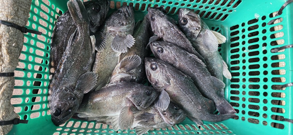
.10월24일 조황

불타는 금요일~^^

주말을 하루 앞두고 짬을내어 동로와의 화합과 

즐거운 시간을 보내기 위해 해상위의 쾌적한 휴식

공간을 찾아 스카이 좌대낚시터를 방문해 주셨습니다.

짜릿한 손맛의 묘미와 활기가 넘치는 활어회와 함께 

즐겁고 행복하게 하루를 보낼수 있는 계기가 되었네오!!

출조하신 모든분께서 풍성한 조과도 올릴 수 있었습니다.

그럼 그 결과물 보실까요~^^

cdde5115d976080a92efa229a8ad1689_1761311581_9892.jpg
cdde5115d976080a92efa229a8ad1689_1761311582_9641.jpg
cdde5115d976080a92efa229a8ad1689_1761311583_6027.jpg
cdde5115d976080a92efa229a8ad1689_1761311584_3675.jpg
cdde5115d976080a92efa229a8ad1689_1761311585_0239.jpg
cdde5115d976080a92efa229a8ad1689_1761311585_8928.jpg
cdde5115d976080a92efa229a8ad1689_1761311586_5282.jpg
cdde5115d976080a92efa229a8ad1689_1761311587_545.jpg
cdde5115d976080a92efa229a8ad1689_1761311588_2437.jpg
cdde5115d976080a92efa229a8ad1689_1761311589_1605.jpg
cdde5115d976080a92efa229a8ad1689_1761311622_7817.jpg
cdde5115d976080a92efa229a8ad1689_1761311623_7511.jpg
cdde5115d976080a92efa229a8ad1689_1761311624_414.jpg
cdde5115d976080a92efa229a8ad1689_1761311625_2743.jpg
cdde5115d976080a92efa229a8ad1689_1761311625_9487.jpg
cdde5115d976080a92efa229a8ad1689_1761311626_8257.jpg