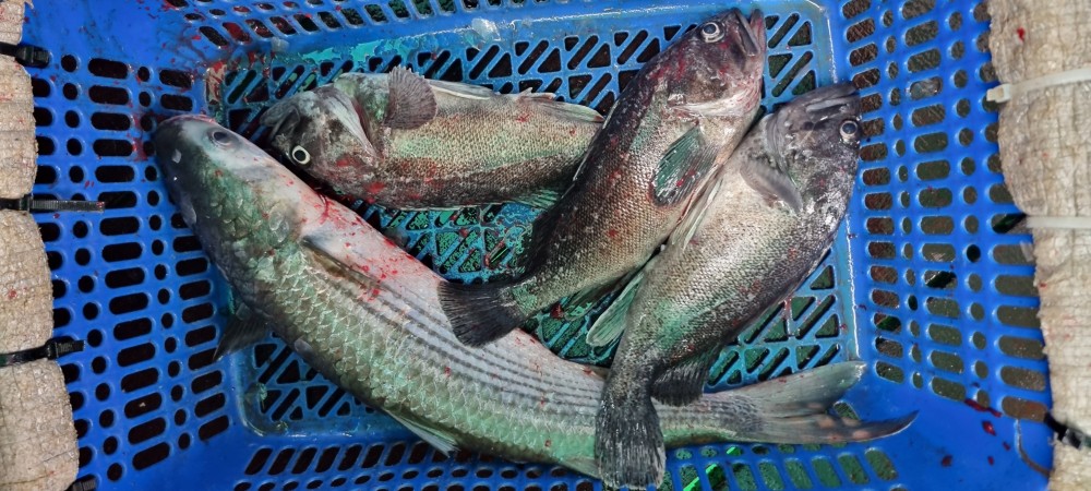
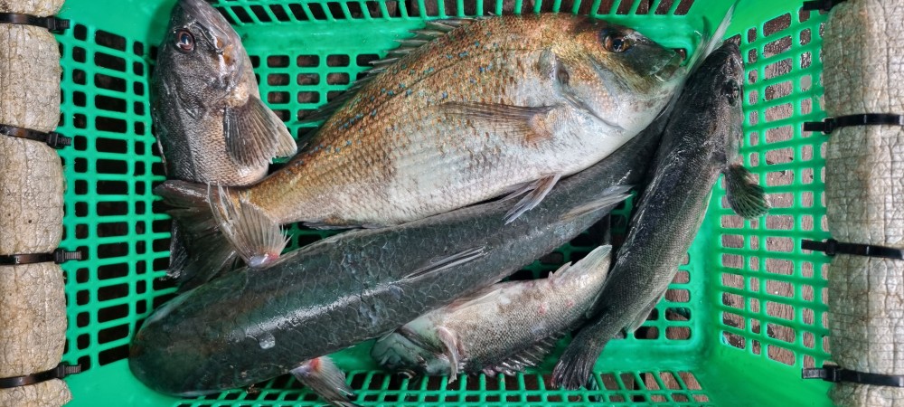
10월19일 조황

간만에 찾아온 평온한 주일을 맞아 가족및 단체분들이 

친목과 화합을 위해 출조해 주셨네요!!

이곳저곳에서 물고기를 잡고 들려오는 함성과 웃음소리가

좌대낚시터를 활기로 가득차게 만들어 주었습니다.

귀가 할때는 소중한 추억과 낭만을 가슴속 깊이 

간직하고 돌아가길 바라며......

그럼 주일 캐스팅의 활약상 감상해 볼까요??

2878cf8f4fb9a9491da4270c38778926_1760937683_0059.jpg
2878cf8f4fb9a9491da4270c38778926_1760937688_5247.jpg
2878cf8f4fb9a9491da4270c38778926_1760937692_1667.jpg
2878cf8f4fb9a9491da4270c38778926_1760937695_5466.jpg
2878cf8f4fb9a9491da4270c38778926_1760937698_3852.jpg
2878cf8f4fb9a9491da4270c38778926_1760937700_9234.jpg
2878cf8f4fb9a9491da4270c38778926_1760937704_1864.jpg
2878cf8f4fb9a9491da4270c38778926_1760937710_0304.jpg
2878cf8f4fb9a9491da4270c38778926_1760937712_9815.jpg
2878cf8f4fb9a9491da4270c38778926_1760937715_6256.jpg
2878cf8f4fb9a9491da4270c38778926_1760937749_8974.jpg
2878cf8f4fb9a9491da4270c38778926_1760937755_086.jpg
2878cf8f4fb9a9491da4270c38778926_1760937758_9809.jpg
2878cf8f4fb9a9491da4270c38778926_1760937764_5784.jpg
2878cf8f4fb9a9491da4270c38778926_1760937768_9592.jpg
2878cf8f4fb9a9491da4270c38778926_1760937775_1807.jpg
2878cf8f4fb9a9491da4270c38778926_1760937778_0174.jpg
2878cf8f4fb9a9491da4270c38778926_1760937785_1598.jpg
2878cf8f4fb9a9491da4270c38778926_1760937790_6678.jpg
2878cf8f4fb9a9491da4270c38778926_1760937795_6083.jpg
2878cf8f4fb9a9491da4270c38778926_1760937827_6454.jpg
2878cf8f4fb9a9491da4270c38778926_1760937831_1821.jpg
2878cf8f4fb9a9491da4270c38778926_1760937833_1602.jpg
2878cf8f4fb9a9491da4270c38778926_1760937836_0589.jpg
2878cf8f4fb9a9491da4270c38778926_1760937838_6034.jpg
2878cf8f4fb9a9491da4270c38778926_1760937840_696.jpg