

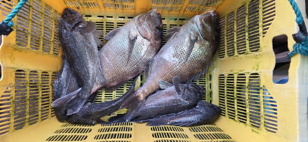
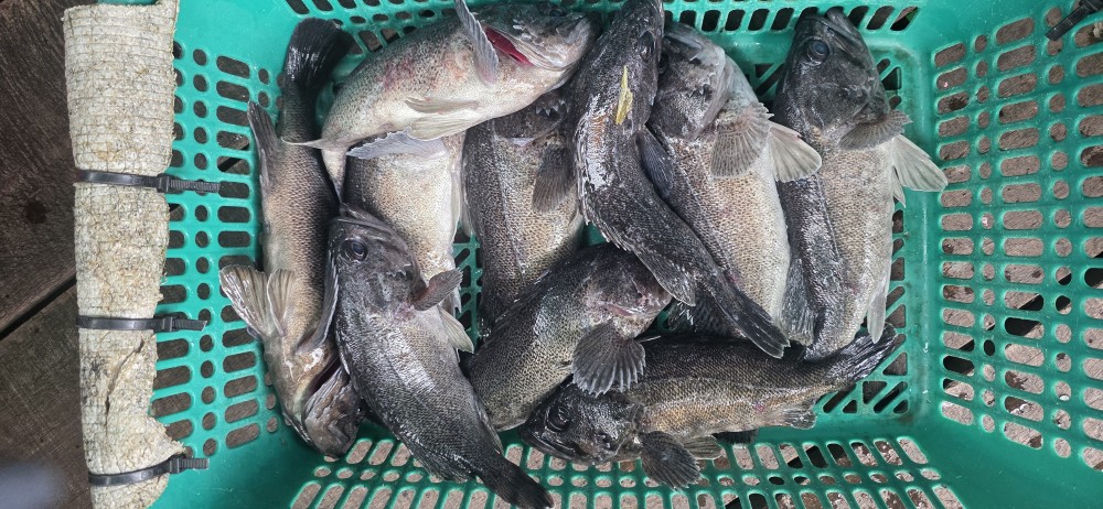
10월17일 조황
- 25-10-17
- 62 회
- 0 건
불타는 금요일~^^
가을은 점점 더 무르익으며 깊어만 가는데
이상 기온의 현상으로 하루가 멀다하고
쏟아지는 비로인해 농촌지역에선 추수의
어려움을 겪고있으며, 바다 낚시터에선
조사님들의 출조 뿐만 아니라 캐스팅에도
난관에 봉착하는 경우가 많이 나타나고
있습니다.
그럼 오늘의 조황 감상해 볼까요~^^
- 이전글 10월18일 주말조황 25.10.18
- 다음글 10월12일 조황 25.10.12
10월17일 조황
불타는 금요일~^^
가을은 점점 더 무르익으며 깊어만 가는데
이상 기온의 현상으로 하루가 멀다하고
쏟아지는 비로인해 농촌지역에선 추수의
어려움을 겪고있으며, 바다 낚시터에선
조사님들의 출조 뿐만 아니라 캐스팅에도
난관에 봉착하는 경우가 많이 나타나고
있습니다.
그럼 오늘의 조황 감상해 볼까요~^^